Please ensure Javascript is enabled for purposes of website accessibility
Skip to main content
Advertisement

Thank you for supporting journalism at your local newspaper. This article is available exclusively for our subscribers, who help fund our work at Navarre Press.


News

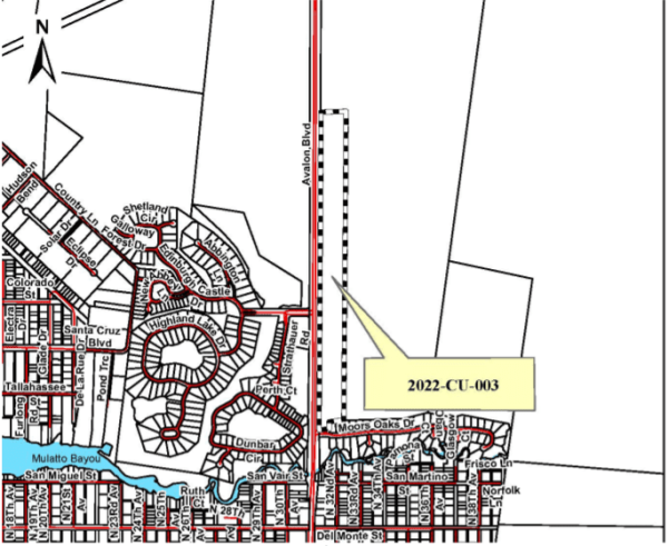
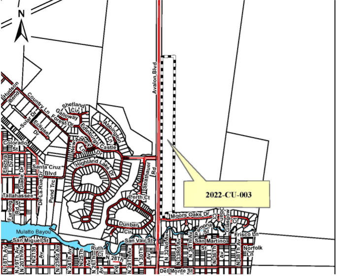
Property near old Moors golf course slated for development

| Ben Johnson

On Jan. 27, the commissioners allowed an apartment complex to be built within a Highway Commercial Development (HCD) district, moving forward the plan of a large mixed-use development.

 

The remainder of this article is available only for our website subscribers, who help fund our mission of keeping you updated on news you want and need to know. You can become a subscriber for as little as $5.67 a month.