Stories by Ben Johnson
Stories by Ben Johnson
Vote allows accessory dune walkover construction on Navarre Beach before home construction
A variance request for a dune walkover on Navarre Beach left the zoning board members split on what to do before narrowly approving the accessory structure on March 10.
Commissioner’s plan to combat rising FPL prices must incur ‘answers to legal questions’
In the wake of Florida Power and Light increasing prices, Commissioner James Calkins wants to decrease franchise fee prices to combat the rate hikes, but his idea was tabled after the Feb. 25 meeting due to a lack of information.
Commissioners remove zoning board member to ‘maintain integrity’ of 2022 election
The BOCC voted to remove commissioner Sam Parker’s appointed zoning board member on Feb. 24 because of a possible conflict of interest with the upcoming Santa Rosa general election.
Holley by the Sea park makes progress after approval without recommended security measures
A new passive park is coming to Holley by the Sea at the intersection of Hawthorne Drive and Palmetto Street, but without the zoning board-recommended safety measures.
State appropriation funds pre-design for medical examiner’s office
The Santa Rosa Commissioners selected Caldwell Associates Architects Inc. to design the District One Medical Office and moved their contract approval to Thursday morning’s meeting.
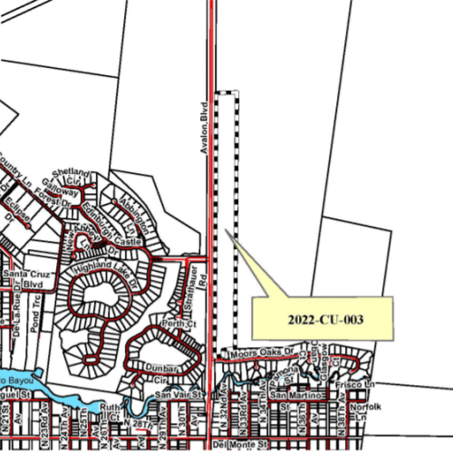
Property near old Moors golf course slated for development
On Jan. 27, the commissioners allowed an apartment complex to be built within a Highway Commercial Development (HCD) district, moving forward the plan of a large mixed-use development.
Navarre Park completion pushed back to March
The 215-day long Navarre Bayside Park project end date was postponed after the commissioners gave additional construction requirements to the developers.
RV Park near Coldwater Creek discussion pushed to March due to septic worries
Another RV Park request came before the commissioners during the Jan. 27 meeting, but a decision is still yet to be made on approving or denying the project after the commissioners voted to continue the item at the March 24 meeting.
Judge decides ‘essential requirements of law were not followed’ when Santa Rosa canceled Adams Sanitation hearing
First Judicial Circuit Court of Florida Judge Darlene F. Dickey ruled that the Santa Rosa Board of County Commissioners must hold a quasi-judicial hearing for Adams Sanitation after it was canceled.
A hearing was scheduled between the trash hauling company and the commissioners for Sept. 9, 2021, for Adams to appeal the commissioners’ decision to deny their trash collection permit.
Contract renewed for continuous Navarre Beach repair
The Navarre Beach renourishment project will continue for the next 12 months as the commissioners voted Monday to add a revised grant work plan to Thursday’s regular meeting.

















