Please ensure Javascript is enabled for purposes of website accessibility
Skip to main content
Advertisement

Thank you for supporting journalism at your local newspaper. This article is available exclusively for our subscribers, who help fund our work at Navarre Press.


Business, News

RV resort planned for Highway 98 near Woodlawn Beach

| Hansen Hasenberg
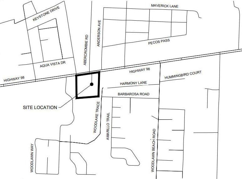
A new RV resort is being planned for the south side of Highway 98, along Woodhaven Lane. Ayana RV Resort, which sits on a 3.51-acre lot, will feature 31 RV pads, a 3,278 square-foot office building, a pool and deck, two stormwater ponds and fencing around the property. There are also plans for five live oak trees to be on the property, according to the site plans.
The future location of Ayana RV Resort.

 

The remainder of this article is available only for our website subscribers, who help fund our mission of keeping you updated on news you want and need to know. You can become a subscriber for as little as $5.67 a month.

 

error: Content is protected.