Please ensure Javascript is enabled for purposes of website accessibility
Skip to main content
Advertisement

Thank you for supporting journalism at your local newspaper. This article is available exclusively for our subscribers, who help fund our work at Navarre Press.


Business, News

Mariachi’s Mexican Grill to move to new location in Gulf Breeze

| Hansen Hasenberg
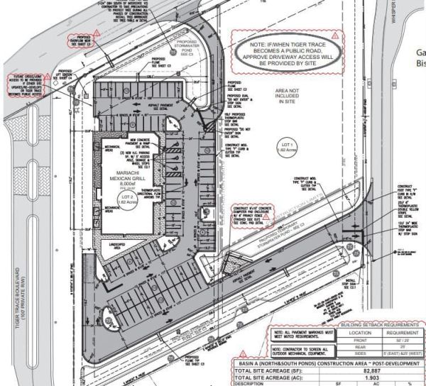
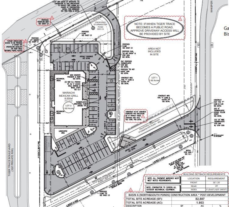
Mariachi’s Mexican Grill is expanding – and moving. There are plans to develop an 8,000 square foot Mariachi’s Mexican Grill at the corner of Tiger Trace Blvd. and Gulf Breeze Parkway. Once built, Mariachi’s Mexican Grill will move into the new location, with plans to lease the current space (2731 Gulf Breeze Parkway).
Mariachi’s Mexican Grill, currently located at 2731 Gulf Breeze Parkway, is moving to a new location sometime in the next few years. The decision comes after issues with customer parking.

 

The remainder of this article is available only for our website subscribers, who help fund our mission of keeping you updated on news you want and need to know. You can become a subscriber for as little as $5.67 a month.

 

error: Content is protected.